Skip to content

일반

파밤나방(Spodoptera exigua)은 거의 모든 살충제에 대한 저항성이 있고 여름철 야생식물을 먹이로 삼고 발달할 수 있기 때문에 재배자들이 주기적으로 어려움을 겪고 있습니다. 잡식성으로 20종 이상의 식물을 먹이로 삼습니다. 국화, 거베라, 장미, 화분 식물 등 관상용 식물을 공격하는 심각한 온실 해충입니다. 온실과 실외 재배지 모두에서 단고추에 피해를 입히는 주요 해충입니다.

에 대한 생물학적 솔루션Beet armyworm

필터:
모든 필터 지우기
모두 보기 간단히 보기
검색된 제품:

질문이 있거나 도움이 필요하신가요?

판매처 찾기

에 대해 자세히 알아보기

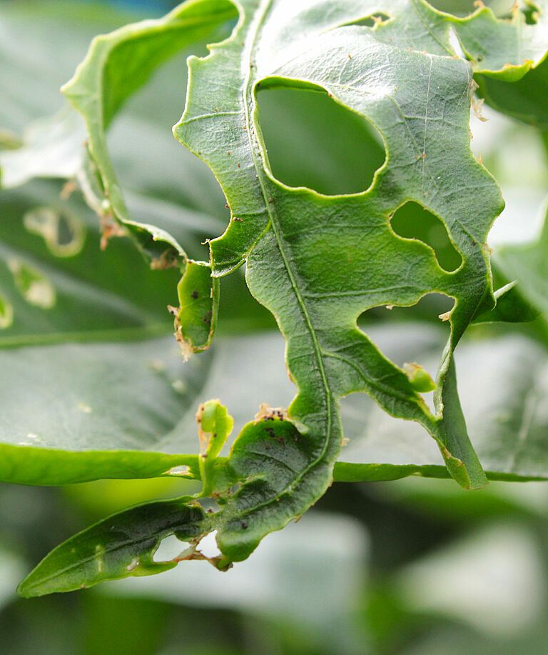
손상 증상

성장한 유충은 식물 상단으로 올라가 주로 성장하는 끝부분을 가해합니다. 유충은 잎에 큰 구멍을 만드는데, 경우에 따라 잎의 중심 잎맥에 이를 때까지 갉아먹기도 합니다. 꽃과 꽃봉오리를 먹기도 합니다. 이런 대규모 손상으로 인해 작물 성장에 상당한 영향을 미칩니다. 유충의 개체수가 많은 경우 줄기 역시 손상을 받을 수 있고 최악의 경우 열매에도 손상이 발생할 수 있습니다. 이로 인해 전체 작물이 먹이가 되는 경우도 많습니다. 관상용 작물에서 일어나는 가장 안 좋은 피해는 꽃과 꽃봉오리가 손상을 받을 때 일어납니다.

파밤나방의 생애주기 및 형상

파밤나방(Spodoptera exigua)은 낮에는 숨어 있고 밤에만 활동하는 일반적인 나방입니다. 앞날개는 회살색을 띠며 어두운 갈색 또는 검은색의 경계가 불분명한 무늬를 가지고 있습니다. 머리와 가슴은 갈색을 띠며 배는 회갈색을 띱니다. 앞날개에는 노란색의 콩팥 모양 무늬가 있습니다. 흰색의 뒷날개는 명확하게 윤곽이 있는 맥상 무늬가 있습니다.

파밤나방(Spodoptera exigua)은 알을 여러 무더기로 낳으며 가끔은 여러 층으로 낳기도 합니다. 그리고 이 나방의 몸통에 있는 흰색의 솜털과 비늘을 깔고 그 위에 낳습니다. 알은 보통 회색이지만 가끔 녹색이나 분홍색을 띠기도 하며, 주로 식물의 아래쪽 잎에 10~250개씩 무더기로 알을 낳습니다.

며칠 후 부화하며 작고 어두운 연녹색의 유충이 발생합니다. 색은 점차 노란색, 녹색, 갈색 또는 검은색으로 바뀝니다. 유충의 색과 패턴은 매우 다양하며 부분적으로 숙주 식물, 발달 단계 및 기후에 따라 달라집니다. 완전히 성장한 파밤나방(Spodoptera exigua) 유충의 길이는 25~38mm이며, 등에 어둡고 주름진 줄무늬가 있으며 양측에 몸통을 따라 노란색 띠가 있고 그 위에 각 마디마다 검은색 반점이 있습니다.

어린 유충은 무리를 지어 서식하며 잎 위에 헐거운 그물망을 형성하여 그 아래에서 3~4개의 유충 단계까지 지냅니다. 성장한 유충은 활동적이며 상당한 거리를 이동할 수 있습니다. 따라서 동일한 알 무더기에서 나온 유충들이 작물의 여러 부위에 손상을 일으킬 수 있습니다. 파밤나방(Spodoptera exigua)은 주로 밤에 먹이를 먹고 낮에는 숨어 있지만, 어린 유충은 낮에 먹이를 먹습니다. 완전히 성장한 유충은 지면으로 이동하여 번데기 단계를 준비합니다. 작물에서도 가끔 번데기가 발견되기도 하지만, 보통은 지면에 끈적한 분비물로 접착된 토양 입자로 구성된 헐거운 고치 안에 자리합니다. 번데기는 갈색이고 길이가 15~20mm이며 다른 밤나방의 번데기와 비슷합니다. 5~10일 후 성충이 번데기에서 발생합니다.

도움이 필요하신가요?